产品简介
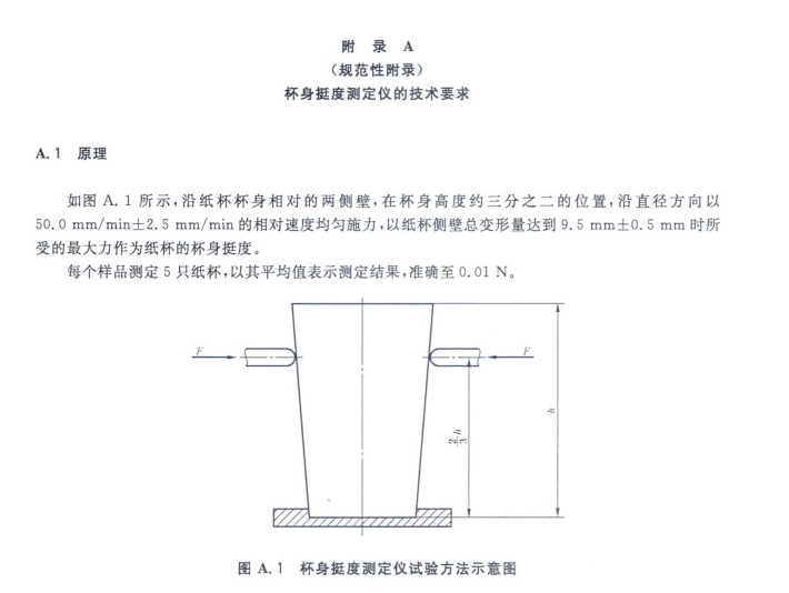
微电脑纸杯杯身挺度试验机是纸杯纸碗生产生产企业和纸箱使用企业控制质量的检测工具,主要用来检测纸杯纸碗杯身挺硬度的测定仪,把试样杯放在挺度试验仪的活动台架上,使传感器测头刚好垂直接触到杯的侧壁,调节活动台架使测头与杯底的垂直距离约为杯高的三分之二处。向前移动一定距离后仪器自动记录挺度值。
技术参数
1.测量范围:(0-20)N,分辨力0.01N
2.示值误差:士1%
3.示值变动性:≤1%
4.可测纸杯口径:30-150mm
5.纸杯高度:15≤L≤120(可调)
6.测试速度:50±2.5mm/min(1-200 连续可调)
7.施力距离:9.5±0.5mm
8.人机界面:4.0in触摸屏操作界面,实时曲线显示
9.数据通讯:内置 R232接口,可任意切换连接电脑。
10.电脑标配:标配13处理器笔记本电脑以及连接电脑配件一套【不配激光打印机】
11.数据打印:内置热敏打印数据
12.外形尺寸(长x宽x高):380mmx260mmx290mm
13.净重:20kg
14.毛重:35kg

